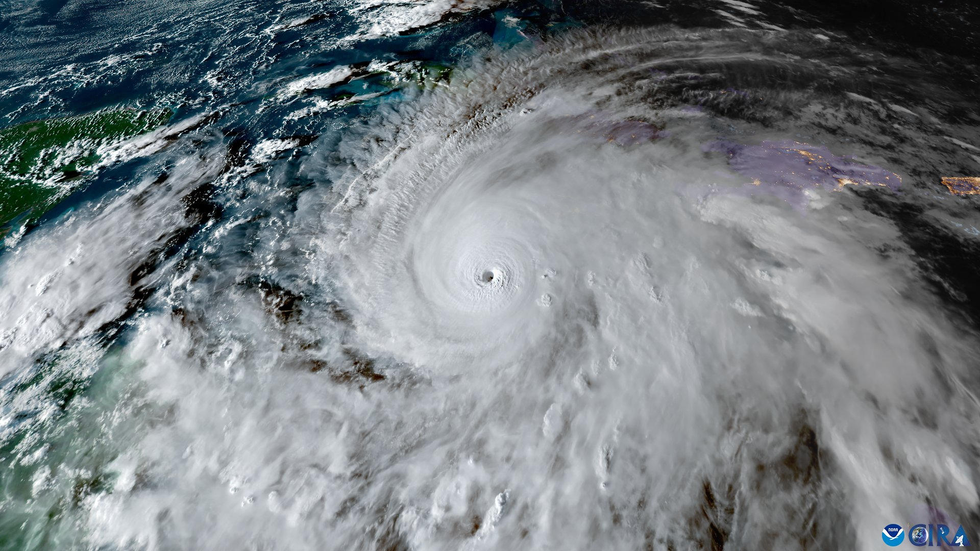
El poderoso huracán “Melissa”, de categoría 5, impacta con fuerza el territorio de Jamaica, generando condiciones catastróficas y dejando a su paso intensas lluvias, marejadas e interrupciones eléctricas generalizadas. Según el más reciente informe del Centro Nacional de Huracanes de Estados Unidos (NHC, por sus siglas en inglés), el fenómeno se aproxima a la costa occidental de la isla con vientos sostenidos de 280 kilómetros por hora, lo que lo convierte en uno de los huracanes más potentes en la historia reciente del Caribe.
Impacto inmediato en Jamaica
Desde las primeras horas de este martes, los efectos de “Melissa” comenzaron a sentirse con fuerza en distintas zonas de Kingston, Montego Bay y Negril, donde se reportan inundaciones repentinas, caída de árboles y daños severos a viviendas.
Las autoridades locales mantienen activo un toque de queda preventivo, han suspendido toda actividad portuaria y han pedido a la población no salir de sus refugios bajo ninguna circunstancia.
Los servicios meteorológicos de Jamaica reportaron vientos sostenidos superiores a 60 kilómetros por hora y ráfagas que alcanzan los 93 kilómetros por hora, mientras el ojo del huracán se desplaza lentamente hacia el noroeste, acercándose peligrosamente a la costa.
En tanto, un avión “Cazahuracanes” de la Fuerza Aérea de Estados Unidos se dirige al área afectada con el propósito de medir la presión central y confirmar la intensidad del ciclón, además de evaluar los daños estructurales provocados por el fenómeno.
Trayectoria proyectada: Cuba y Bahamas en alerta
De acuerdo con los pronósticos del NHC, el huracán “Melissa” mantendrá su intensidad extrema durante las próximas 24 horas y tocará tierra en Jamaica en el transcurso de este martes, antes de desplazarse hacia el sureste de Cuba el miércoles y posteriormente hacia las islas Bahamas el jueves.
El organismo advierte que, debido a su lento desplazamiento y alto contenido de humedad, el huracán podría provocar acumulaciones de lluvia de entre 250 y 400 milímetros, lo que representa un alto riesgo de inundaciones súbitas y deslizamientos de tierra, especialmente en zonas montañosas.
Las autoridades cubanas ya declararon el estado de alerta en las provincias de Santiago de Cuba, Guantánamo y Granma, ordenando la evacuación preventiva de comunidades costeras ante la posibilidad de marejadas ciclónicas con olas de hasta cinco metros.
Daños y suspensión de servicios
En Jamaica, las autoridades reportan más de 150 mil personas sin electricidad y cortes de comunicación en varias localidades debido al colapso de postes y torres de transmisión. Los aeropuertos de Kingston y Montego Bay permanecen cerrados hasta nuevo aviso, mientras que la aerolínea Caribbean Airlines canceló todos sus vuelos programados.
El Primer Ministro de Jamaica, Andrew Holness, pidió calma a la población y aseguró que el gobierno trabaja con el Ejército de Jamaica y los equipos de emergencia internacionales para brindar apoyo a las zonas más afectadas.
“Estamos ante un fenómeno sin precedentes en la historia reciente del país. Lo más importante ahora es proteger la vida de nuestros ciudadanos”, afirmó Holness en un mensaje transmitido por cadena nacional.
Apoyo internacional y preparación regional
La Comunidad del Caribe (CARICOM) ha convocado una reunión de emergencia virtual para coordinar la ayuda humanitaria y logística hacia Jamaica y los países que podrían verse afectados en las próximas horas.
En tanto, la Agencia Caribeña para el Manejo de Emergencias por Desastres (CDEMA) activó el Mecanismo Regional de Respuesta, enviando suministros y personal de apoyo desde Barbados y Trinidad y Tobago.
Los gobiernos de México y República Dominicana también manifestaron su disposición de colaborar con asistencia humanitaria y equipos de rescate especializados, en caso de que el fenómeno continúe su avance hacia el norte del Caribe.
Comparaciones históricas y magnitud del fenómeno
Meteorólogos internacionales han comparado a “Melissa” con huracanes históricos como Gilbert (1988) y Ivan (2004), que también alcanzaron la categoría 5 en su paso por el Caribe.
Sin embargo, los expertos advierten que la intensificación rápida de Melissa ha sido “extraordinaria”, pasando de categoría 3 a 5 en menos de 24 horas, lo que indica un proceso de ciclón tropical extremadamente poderoso alimentado por altas temperaturas oceánicas superiores a los 30 °C.
Perspectiva a corto plazo
El Centro Nacional de Huracanes mantiene una advertencia de huracán para Jamaica, el sureste de Cuba y las Bahamas, con posibles afectaciones indirectas en Haití, República Dominicana y las Islas Caimán.
Se espera que, al avanzar hacia el norte, “Melissa” comience un lento proceso de debilitamiento al interactuar con las masas montañosas de Cuba, aunque continuará representando una amenaza significativa para la región.
Los meteorólogos insisten en que los próximos dos días serán críticos para la trayectoria y fuerza del huracán, que sigue siendo uno de los más intensos de la temporada 2025 en el Atlántico.
